의정부장암주공1단지아파트 영구임대 26형, 31형, 40형
임대아파트 신청자격은 입주자 모집공고일 현재 의정부시에 거주하는 성년자인 무주택세대 구성원으로서 소득 및 자산 보유기준을 충족한다면 신청할 수 있습니다. 자세한 사항은 의정부장암주공1단지 관리사무소 ( ☎ 031-871-1057 ) 문의 또는 모집공고문을 확인하세요. 신청 시 공고 내용을 반드시 숙지하고 신청자격, 소득, 자산 가점항목 등 사전에 본인이 직접 해당 서류 등을 확인하고 신청해야 됩니다. 평면도는 하단에 첨부했습니다. 참고하세요! 계약은 공가 발생 시 당첨 순번으로 계약됩니다. 예비입주자로 선정되어도 실제 아파트 입주에는 많은 기간이 소요될 수 있습니다. 신청접수는 거주지 관할 주민센터에서만 가능합니다.

아파트 정보
지역 경기도
소재지 경기도 의정부시 동일로 397
공급구분 영구임대
건설세대수 1,122
최초입주 1991년 12월
구조/난방 복도식/중앙가스난방
공급정보
26형 전용면적 26.*㎡ (약 7평)
임대보증금 5,787,000원
월임대료 79,980원
31형 전용면적 31.*㎡ (약 9평)
임대보증금 6,873,000원
월임대료 94,990원
40형 전용면적 40.*㎡ (약 12평)
임대보증금 8,848,000원
월임대료 122,290원
임대보증금 및 월 임대료는 입주자 모집공고일 기준이며, 보증금 최대 전환 시 변동될 수 있습니다. 참고만 해주세요!
무주택세대 구성원이란? 세대 구성원에 해당하는 사람 전원이 주택을 소유하고 있지 않은 세대의 구성원을 말합니다.
아파트 주변정보
지하철 발곡역 의정부경전철
고속,시외버스터미널 풍림아파트앞정류소
대형마트 롯데마트 장암점
종합병원 호원병원
초등학교 동암초등학교, 의정부 장암초등학교
중학교 발곡중학교
하천 중랑천
공원 장암발곡근린공원
예비입주자 선정 세부절차
신청(거주지 주민센터) > 입주자격 조사(지자체) > 예비입주대상자 발표(지자체) > LH 계약체결(추후개별통보)
선정 순서 : 순위 > 배점 > 추첨
동일순위 내 경합 시 의정부시의 전입일이 빠른 순서대로 입주대상자를 선정
입주자격 검증
영구임대주택 입주자격은 무주택세대 구성원으로 일정 소득 및 자산 보유 기준을 충족하여야 하며, 입주를 신청하신 신청자와 해당 세대구성원 전원은 국토교통부 주택소유 확인 시스템을 통하여 주택 소유 여부를, 보건복지부 사회보장 정보시스템을 통하여 소득과 자산을 조회하여 입주자격 충족 여부를 검증 후 입주자로 선정합니다.
평면도



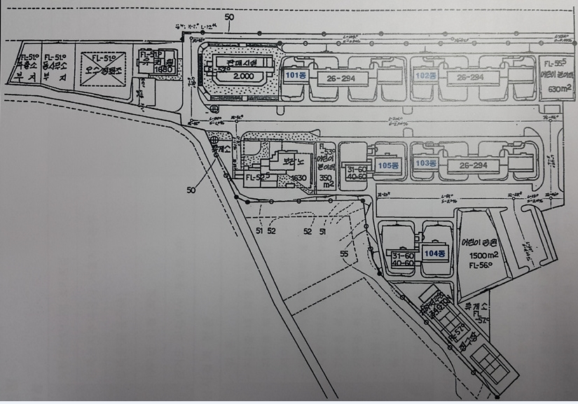
단지 배치도

주택의 평면도 등은 마이홈(https://www.myhome.go.kr)/ 공공주택 찾기(기존 임대주택 찾기)/지도에서 지역 선택/ 국민임대 / 아파트 선택 후 검색하기 한 다음 단지명을 클릭하셔서 확인하실 수 있습니다.
임대주택을 의외로 많은 분들이 모르고 계시더군요. 저도 그중에 하나였고요. 한국 토지주택공사(LH), 지자체, 지방공사에서 무주택 저소득 서민들에게 저렴한 비용으로 주거안정을 누릴 수 있도록 소득 계층별로 다양한 임대주택이 공급되고 있습니다. 조금만 관심을 기울이면 저렴하게 거주할 수 있는 방법이 있습니다.
인터넷 신청방법
1. 공인인증서 준비
2. LH 인터넷 청약시스템 접속
3. 인터넷 신청
4. 신청 완료
> 입주자 모집공고
임대문의
예비입주자 순위 조회방법
예비입주자 당첨 명단은 공사 홈페이지((https://apply.lh.or.kr)와 ARS(1661-7700)를 통해 당첨 발표일로부터 30일간 확인할 수 있으며, 당첨 사실을 확인하지 못하여 계약 체결을 못한 경우의 책임은 신청자 본인에게 있습니다.
'경기' 카테고리의 다른 글
| 동두천생연3 국민임대주택 36형, 46형, 59형 기본정보 (0) | 2020.07.02 |
|---|---|
| 동두천송내3 국민임대주택 39형, 46형, 51형, 59형 기본정보 (0) | 2020.07.02 |
| 시흥은계7(A2BL) 영구임대주택 23형 (0) | 2020.06.23 |
| 시흥은계7(A2BL) 국민임대주택 26형, 37형, 46형 (0) | 2020.06.22 |
| 운정한울 4단지 국민임대주택 39형, 45형, 51형, 59형 (0) | 2020.06.16 |